安久町 590万円
物件情報
周辺施設
安久町 590万円 の物件概要
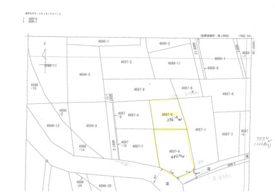
【売地】※地図上に表示される物件の位置は付近住所に所在することを表すものであり、実際の物件所在地とは異なる場合がございます。
00件
最近見た物件
00件
検討リスト
都城市周辺で不動産を探すならすまいる不動産へ > すまいる不動産の物件一覧 > 安久町 590万円
安久町 590万円
物件情報
周辺施設
安久町 590万円 の物件概要
【売地】※地図上に表示される物件の位置は付近住所に所在することを表すものであり、実際の物件所在地とは異なる場合がございます。

安久町 590万円に関するこだわり条件から探す
都城市以外の市区町村から探す
都城市の町名から探す